to doc list
SECOND AVENUE, Astoria, Queens, N.Y., ca. 1890



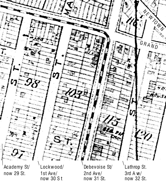
Close-up of the Flanagan's neighborhood. My best guess as to the location of the lot Andrew Flanagan bought in 1850 would be the small squares just to the right of the number 103.

See Wide view

Use your browser's back-button to return